
Bevendean History Project

Falmer Village School

Falmer Church of England School
A directory from 1895 at the Keep records that a parochial school was built at Falmer in 1837. A copy conveyance survives for the site of the school, dated 1851-1852. This was a National School for the united parishes of Falmer and Stanmer. It is thought to have derived considerable assistance from the Earl of Chichester. The school closed in July 1977.
There is a copy of a conveyance dated 13 December 1851 from Henry Thomas Pelham, Earl of Chichester to the Minister of the United Benefice of Stanmer with Falmer and the Churchwardens of the two parishes relating to ½ acre of land near Falmer church. This was for erection of a school for the education of poor children and adults of the two parishes, in accordance with the National Society for promoting the education of the poor.

Falmer village and school photographed in 1910.

Falmer School with children outside in 1912.
Bob Staten has contacted the website and provided the following information and some photographs.
My maternal great grandmother was the Falmer village school mistress at the turn of the 20th century. Her name was Rhoda Dubbin (nee Moss) and I believe her sister Annie Moss was also a teacher there at the same time.

A sampler Rhoda embroidered in 1856 at the age of 11.

Bob Staten writes that the photo here is of Rhoda Dubbin his grandmother whose full name was Rhoda Annie Bertha Dubbin, but known to all as Dolly. She would have been very young in this photograph and acting as an assistant teacher with her mother Rhoda Dubbin and aunt Anne Moss as teachers.
Bob has provided two more photographs of Falmer School.

The school with various pupils from the early 1900s. Bob thinks that the two ladies with the umbrellas are Rhoda and either Dolly or Anne.

The second photograph is of Rhoda (with either Dolly or Anne) standing in front of the school.

A commemorative silver plate presented by the pupils’ past and present, school managers and other friends’ on her leaving Falmer School in July 1910.

A closer view of the inscription on the presentation plate.
Rhoda Susannah Dubbin - Falmer village school mistress.
Rhoda had strong connections to Stanmer House as well. She was clearly a stalwart of Falmer for many years!
My great grandmother was born Rhoda Susannah Moss in the village of Toft, Cheshire in 1845. Her father James worked as a groom for the Leycester family at their stately home of Toft Hall.
The family had moved to Sussex by the census of 1861 to live and work at Stanmer House with her father working as a coachman, this time for the Pelham family. Rhoda (aged 15) and her older sister Anne (aged 28) are listed in this census respectively as assistant school mistress and national school mistress - presumably at Falmer School.
Rhoda married ironmonger, Samuel Dubbin on 5 June 1876 in Stanmer Church, and they had two children, James and Dorothy. James Dubbin fought with the Hertfordshire Yeomanry at Gallipoli and in the trenches of Northern France - he never married. His sister, Dorothy, married my maternal grandfather, Richard Bowes who was a First World War veteran himself.
Rhoda retired from the school in 1910 at the age of 65, after what looks like 50 years’ service.
Sadly, have no photographs of Rhoda but do possess two interesting items relating to her. The first is a sampler she embroidered in 1856 at the age of 11 - the second is a silver plate presented by the pupils’ past and present, school managers and other friends’ on her leaving Falmer School in July 1910.
She died in 1924 and was buried in Stanmer Churchyard on 22 November at the age of 79. Her husband, Samuel died in 1941 and is buried with her on 19 September at the age of 93.

Gravestone for Rhoda and Samuel Dubbin in Stanmer Churchyard
Bob Staten
Plans of Falmer Village Church of England School

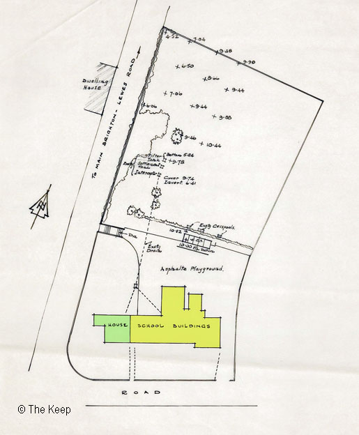
Plan showing the School building highlighted yellow and the School House highlighted green. The plan dates from the 1950s.

The plan of the school dated April 1977 after the provision of indoor toilets in the 1950s or 1960s. © The Keep.
The closure of Falmer Church of England School was announced in June 1977
Economy axe finally falls on a little village school
MRS SHIRLEY WILLIAMS, Secretary of State for Education, has approved the closure of Falmer's village primary school despite protests from parents and pupils.
The shutdown of the 28-pupil CE school, scheduled for September, will save East Sussex County Council an estimated £14,000 a year. Pupils will be transferred to schools in Brighton and Lewes.
Parents had marched on County Hall, lobbied councillors and MPs, and taken their protest to the Department of Education and Science, with a direct appeal to Mrs. Williams.
Now Save Our School campaign leaders say the closure will destroy another social centre of village life.
A spokesman for the parents said: "We are very disappointed. The parents battled all the way to the highest possible level in the country.
“The school community is one of the few remaining social centres of Falmer village. This is just one more way in which a little village has been badly served by the big battalions of local and national government.”
The schools head mistress, Mrs Mary Gifford, will retire at the end of the school year. The other full-time member of staff has been offered another post.
Said Mrs Gifford: “Ever since I have been here, since 1964, the school has regularly been in danger of closure: that has been a very unsatisfactory situation."
Number at the school next year could have dropped is low as 15, she added.
From the Argus on 29th June 1977

Falmer School House on the left and the former school on the right viewed in April 2020.

Former Falmer School now the village hall viewed in April 2020.

Falmer Village Hall viewed across the pond in January 2021.
If you have any memories or information about the Falmer Village School please contact the website via the contact page.

Falmer Church of England School
A directory from 1895 at the Keep records that a parochial school was built at Falmer in 1837. A copy conveyance survives for the site of the school, dated 1851-1852. This was a National School for the united parishes of Falmer and Stanmer. It is thought to have derived considerable assistance from the Earl of Chichester. The school closed in July 1977.
There is a copy of a conveyance dated 13 December 1851 from Henry Thomas Pelham, Earl of Chichester to the Minister of the United Benefice of Stanmer with Falmer and the Churchwardens of the two parishes relating to ½ acre of land near Falmer church. This was for erection of a school for the education of poor children and adults of the two parishes, in accordance with the National Society for promoting the education of the poor.

Falmer village and school photographed in 1910.

Falmer School with children outside in 1912.
Bob Staten has contacted the website and provided the following information and some photographs.
My maternal great grandmother was the Falmer village school mistress at the turn of the 20th century. Her name was Rhoda Dubbin (nee Moss) and I believe her sister Annie Moss was also a teacher there at the same time.

A sampler Rhoda embroidered in 1856 at the age of 11.

Bob Staten writes that the photo here is of Rhoda Dubbin his grandmother whose full name was Rhoda Annie Bertha Dubbin, but known to all as Dolly. She would have been very young in this photograph and acting as an assistant teacher with her mother Rhoda Dubbin and aunt Anne Moss as teachers.
Bob has provided two more photographs of Falmer School.

The school with various pupils from the early 1900s. Bob thinks that the two ladies with the umbrellas are Rhoda and either Dolly or Anne.

The second photograph is of Rhoda (with either Dolly or Anne) standing in front of the school.

A commemorative silver plate presented by the pupils’ past and present, school managers and other friends’ on her leaving Falmer School in July 1910.

A closer view of the inscription on the presentation plate.
Rhoda Susannah Dubbin - Falmer village school mistress.
Rhoda had strong connections to Stanmer House as well. She was clearly a stalwart of Falmer for many years!
My great grandmother was born Rhoda Susannah Moss in the village of Toft, Cheshire in 1845. Her father James worked as a groom for the Leycester family at their stately home of Toft Hall.
The family had moved to Sussex by the census of 1861 to live and work at Stanmer House with her father working as a coachman, this time for the Pelham family. Rhoda (aged 15) and her older sister Anne (aged 28) are listed in this census respectively as assistant school mistress and national school mistress - presumably at Falmer School.
Rhoda married ironmonger, Samuel Dubbin on 5 June 1876 in Stanmer Church, and they had two children, James and Dorothy. James Dubbin fought with the Hertfordshire Yeomanry at Gallipoli and in the trenches of Northern France - he never married. His sister, Dorothy, married my maternal grandfather, Richard Bowes who was a First World War veteran himself.
Rhoda retired from the school in 1910 at the age of 65, after what looks like 50 years’ service.
Sadly, have no photographs of Rhoda but do possess two interesting items relating to her. The first is a sampler she embroidered in 1856 at the age of 11 - the second is a silver plate presented by the pupils’ past and present, school managers and other friends’ on her leaving Falmer School in July 1910.
She died in 1924 and was buried in Stanmer Churchyard on 22 November at the age of 79. Her husband, Samuel died in 1941 and is buried with her on 19 September at the age of 93.

Gravestone for Rhoda and Samuel Dubbin in Stanmer Churchyard
Bob Staten
Plans of Falmer Village Church of England School

Plan showing the School building highlighted yellow and the School House highlighted green. The plan dates from the 1950s.

The plan of the school dated April 1977 after the provision of indoor toilets in the 1950s or 1960s. © The Keep.
The closure of Falmer Church of England School was announced in June 1977
Economy axe finally falls on a little village school
MRS SHIRLEY WILLIAMS, Secretary of State for Education, has approved the closure of Falmer's village primary school despite protests from parents and pupils.
The shutdown of the 28-pupil CE school, scheduled for September, will save East Sussex County Council an estimated £14,000 a year. Pupils will be transferred to schools in Brighton and Lewes.
Parents had marched on County Hall, lobbied councillors and MPs, and taken their protest to the Department of Education and Science, with a direct appeal to Mrs. Williams.
Now Save Our School campaign leaders say the closure will destroy another social centre of village life.
A spokesman for the parents said: "We are very disappointed. The parents battled all the way to the highest possible level in the country.
“The school community is one of the few remaining social centres of Falmer village. This is just one more way in which a little village has been badly served by the big battalions of local and national government.”
The schools head mistress, Mrs Mary Gifford, will retire at the end of the school year. The other full-time member of staff has been offered another post.
Said Mrs Gifford: “Ever since I have been here, since 1964, the school has regularly been in danger of closure: that has been a very unsatisfactory situation."
Number at the school next year could have dropped is low as 15, she added.
From the Argus on 29th June 1977

Falmer School House on the left and the former school on the right viewed in April 2020.

Former Falmer School now the village hall viewed in April 2020.

Falmer Village Hall viewed across the pond in January 2021.
If you have any memories or information about the Falmer Village School please contact the website via the contact page.